找回密碼
 立即註冊
查看: 7207|回復: 7

Altis x菜單下禮拜拉車

[複製鏈接]

1

主題

0

回帖

25

積分

新手上路

積分
25
發表於 2016-5-23 23:06 | 顯示全部樓層 |閱讀模式
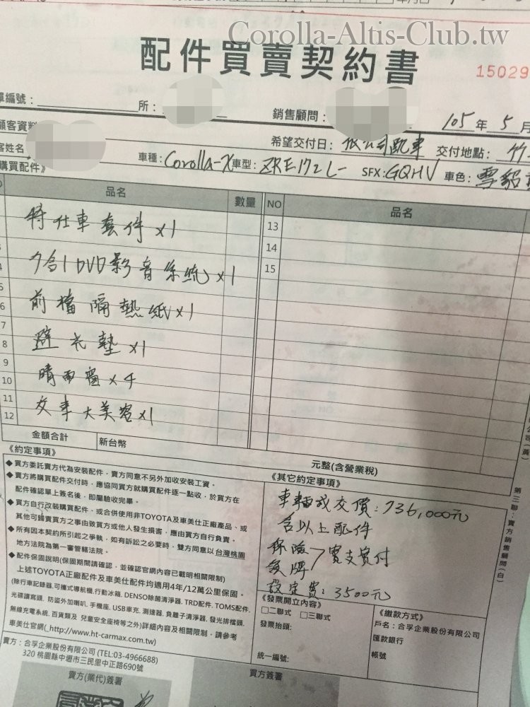
分36期零利率這樣菜單和價格會貴嗎736000不包含保險領車


image.jpg
回復

使用道具 舉報

3

主題

159

回帖

941

積分

高級會員

積分
941
發表於 2016-5-24 10:20 | 顯示全部樓層
恭喜簽新車~

單子簽了就別再問了, 不然會被虧很慘的
新手,請多指導!~利益歸於車友謂之Club,利益歸之於商人謂之Store!
回復

使用道具 舉報

20

主題

1384

回帖

4665

積分

論壇元老

積分
4665
發表於 2016-5-24 11:31 | 顯示全部樓層
竹北所 是桃苗區吧~

恭喜牽新車囉~

但是配件表 寫的還滿 "精簡" 可以操作的空間滿大的~~

建議下次地2次購車 可以請業務 配件型號 名稱 寫清楚一點 避免交車清點雙方有不同認知的差異~
回復

使用道具 舉報

32

主題

323

回帖

2421

積分

金牌會員

積分
2421
發表於 2016-5-24 15:41 | 顯示全部樓層
拿副廠當正廠裝
回復

使用道具 舉報

9

主題

229

回帖

1582

積分

金牌會員

積分
1582
發表於 2016-5-24 15:50 | 顯示全部樓層
p800 發表於 2016-5-24 11:31
竹北所 是桃苗區吧~

恭喜牽新車囉~

真的 價差一差 就是小朋友的張數了 雖然簽約 如果熟悉的話 應該還可以問問看
回復

使用道具 舉報

0

主題

19

回帖

275

積分

中級會員

積分
275
發表於 2016-5-27 07:45 | 顯示全部樓層
恭喜簽新車喔   我是新竹人
我的是紅色

回復

使用道具 舉報

4

主題

91

回帖

305

積分

中級會員

積分
305
發表於 2016-5-27 08:55 | 顯示全部樓層
配件 沒寫明細  
回復

使用道具 舉報

3

主題

12

回帖

266

積分

中級會員

積分
266
發表於 2016-5-27 09:55 | 顯示全部樓層
恭喜喔~~~
回復

使用道具 舉報

您需要登錄後才可以回帖 登錄 | 立即註冊

本版積分規則

Archiver|手機版|小黑屋|Corolla Club

GMT+8, 2025-12-16 22:55 , Processed in 0.067240 second(s), 9 queries , File On.

Powered by Discuz! X3.5

© 2001-2024 Discuz! Team.

快速回復 返回頂部 返回列表